
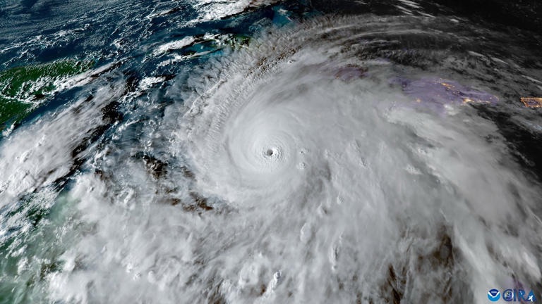
El huracán Melissa avanza con categoría 5 de intensidad. Según la NOAA estadounidense, la tormenta provoca una “situación extremadamente peligrosa y de riesgo mortal”.
El ciclón se inició en el Mar del Caribe y ha tocado tierra en Jamaica, como anticiparon los modelos horas antes. En su trayectoria probable está ahora Cuba. Así lo muestra el “modelo de conjunto” de Google Deepmind.
El modelo experimental de Google —que emplea técnicas de aprendizaje automático— anticipó con éxito que el huracán tocaría tierra en Jamaica alrededor de las 18.00 (UTC). Lo hizo un poco más al oeste de lo previsto. Y también con más fuerza: el ciclón llegó con categoría 5, aunque el modelo pensaba que para esa hora se habría debilitado a 4.
La última actualización del modelo dice que la tormenta alcanzará Cuba este miércoles día 29, poco antes de las 6.00 (UTC). De nuevo, el pronóstico es que para entonces se haya atenuado a magnitud 4.
En las últimas horas se han registrado rachas de viento de hasta 150 nudos (270 kilómetros por hora). Las predicciones apuntan ahora a una deceleración paulatina del huracán, aunque durante todo el miércoles los vientos seguirían con picos por encima de los 100 nudos.
Otras fuentes, como la Oficina Nacional de Administración Oceánica y Atmosférica (NOAA) de Estados Unidos, han predicho hasta ahora una trayectoria similar a la del modelo de Google DeepMind.









